Os trabalhos de concretagem da pista do BRT Transoeste, realizados pela Secretaria de Infraestrutura estão avançando na Barra da Tijuca em direção ao Recreio dos Bandeirantes. Os serviços tiveram início no mês de agosto de 2022, no trecho que passa entre o Terminal Alvorada e a Cidade das Artes, e no momento as equipes da Prefeitura estão trabalhando próximo à Estação do BRT Pontões / Barra Sul.
A pedido da Subprefeitura da Barra, durante as obras na pista do BRT, a Secretaria de Infraestrutura está realizando o alargamento de alguns retornos na Avenida das Américas. A Subprefeitura da Barra também participou na elaboração dos projetos pela Secretaria de Infraestrutura e dos esquemas de trânsito da Cet-Rio.
"Para os motoristas não sofrerem impactos repetitivos na mesma área, estamos aproveitando as obras na pista do BRT Transoeste para realizar a maior parte dessas intervenções. Nosso trabalho de escuta começou no início de 2021 e agora ficamos felizes por conseguir colocar em prática projetos tão significativos, e ao mesmo tempo atender às solicitações dos moradores. Afinal, a Avenida das Américas é uma das vias mais movimentadas da cidade do Rio de Janeiro," afirmou o Subprefeito Raphael Lima.
Para o Presidente da CET-RIO, Joaquim Dinis, os alargamentos dos retornos proporcionam maior fluidez ao tráfego de veículos e evitam as retenções que normalmente ocorrem nos locais, em horários de “rush”.
Já foram entregues os retornos próximos aos condomínios Mandala e Américas Park, na Barra. Os alargamentos dos dois retornos no sentido Recreio já estão oferecendo mais rapidez aos veículos que estão retornando. São trechos que causavam gargalos significativos no trânsito, nos horários de pico.
Estão em andamento as obras do Retorno do Prezunic, no Recreio dos Bandeirantes. A principal intervenção a ser realizada nesse trecho, é o alargamento do retorno que passará a ter três faixas e a faixa de acumulação dos veículos também será alargada. Uma nova agulha de saída para a pista central já foi aberta. E será implantada mais uma nova agulha, um pouco antes do retorno, para que os veículos possam acessar a pista lateral da Avenida das Américas. Dessa forma, o cruzamento de veículos poderá acontecer com mais fluidez e segurança.
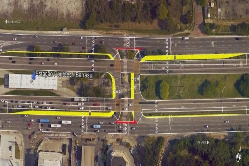
As próximas intervenções vão acontecer nos retornos próximos da estação do BRT Barra Sul/Pontões, na Barra da Tijuca. Nesse caso, os retornos da Avenida das Américas, sentido Zona Sul e sentido Recreio, localizados junto à estação BRT Barra Sul/Pontões, já foram interditados ao tráfego de veículos no sábado (27/5), para a realização das obras de concretagem da pista do BRT e o alargamento dos retornos em ambos os sentidos será realizado simultaneamente, o que vai proporcionar um aumento considerável na capacidade de escoamento de veículos.
Por ser um trecho com alto fluxo de veículos, técnicos da CET-Rio, situados no Centro de Operações Rio (COR), estão fazendo o monitoramento on-line dos volumes dos fluxos de veículos, para aplicar os devidos ajustes nos tempos semafóricos para diminuir os impactos no trânsito da região. A operação de trânsito conta também com agentes da CET-Rio e apoiadores de tráfego contratados, que atuam na manutenção da fluidez do trânsito, ordenamento dos cruzamentos e orientação de pedestres e motoristas.
Outra intervenção que começará em breve será no retorno próximo à estação do BRT Pedra de Itaúna. Além do alargamento do retorno já existente no sentido Zona Sul, o antigo retorno de veículos sentido Recreio, que foi fechado para dar espaço para um retorno do BRT, será reaberto. Dessa forma, todos os retornos de um trecho que costuma ter retenções diárias terão uma redução considerável no fluxo de veículos o que também trará mais fluidez ao trânsito.
As alternativas para o trânsito são as seguintes:

Rota 1: Sentido Zona Sul - Veículos com destino à Avenida Salvador Allende deverão acessar a pista lateral da Avenida das Américas, logo após a estação Guignard e seguirem pela rotatória do Terminal Recreio.

Rota 2: Sentido Zona Sul - Veículos com destino à Campo Grande/Guaratiba deverão seguir até o retorno junto à estação BRT Interlagos.

Rota 3: Sentido Recreio - Veículos com destino aos condomínios Barra Sul e Pontões da Barra deverão seguir pela pista lateral da Avenida das Américas e realizar o retorno na Avenida Salvador Allende.